
Item
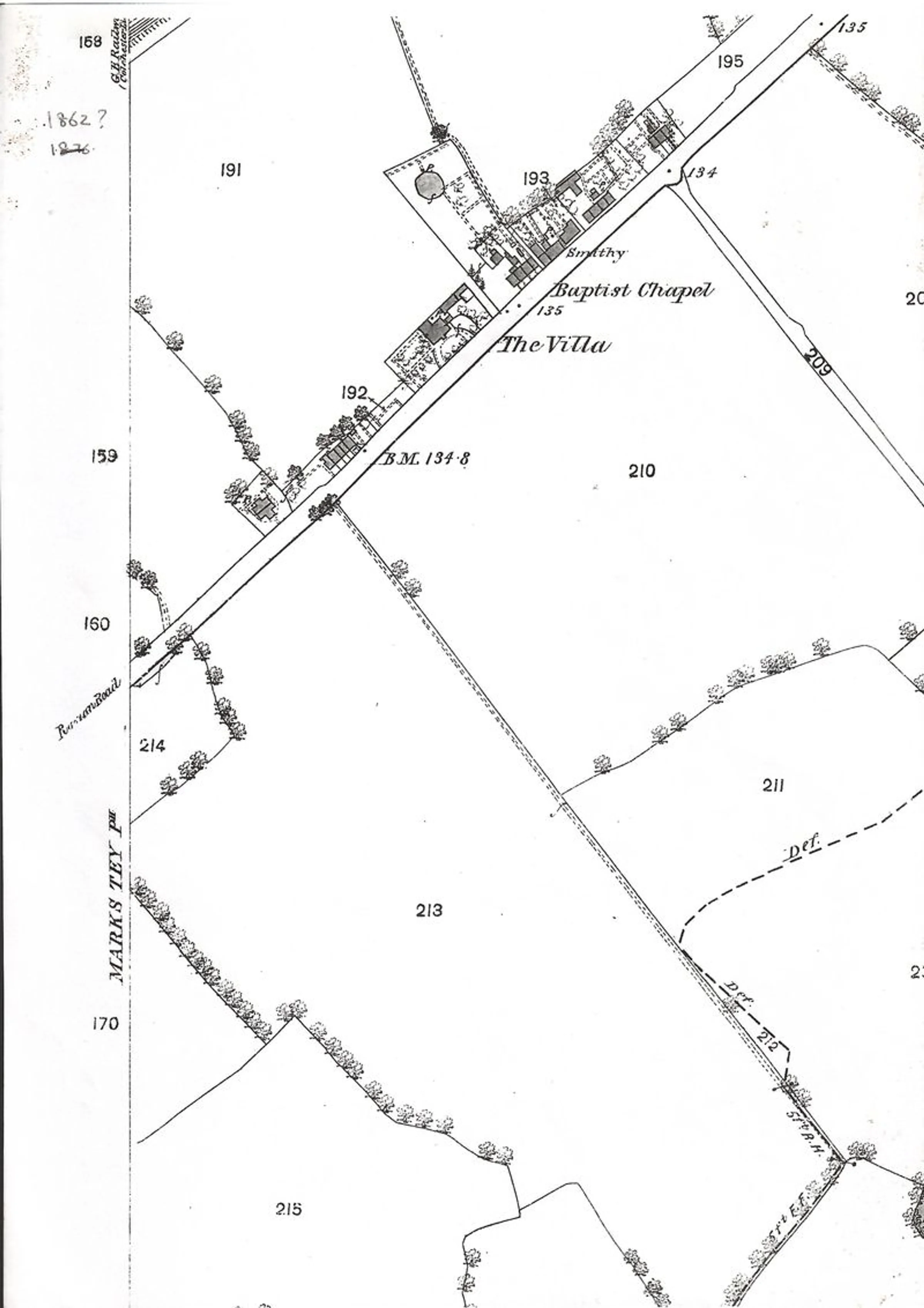
The Villa shown on a 1860 OS map
Object type
Date
1860
Description
The Villa is shown on London Road (now Old London Road) on this Ordnance Survey map. Note that it was next to the Baptist Chapel and the Smithy.
Location
Credit
© Marks Tey Archive
Usage
CC-4.0, view usage statement
Provenance
Andrew Waters
Archive code
MTHP.9.34.5